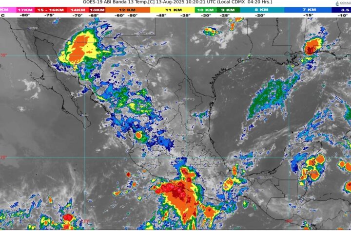
🔸 Afectarán el norte, noreste, oriente, centro, sur, sureste y Península de Yucatán. El Servicio Meteorológico Nacional pronostica para hoy...
🔸 Afectarán el norte, noreste, oriente, centro, sur, sureste y Península de Yucatán. El Servicio Meteorológico Nacional pronostica para hoy...